Kako u jednoj večeri spasiti domaći limun od insekata

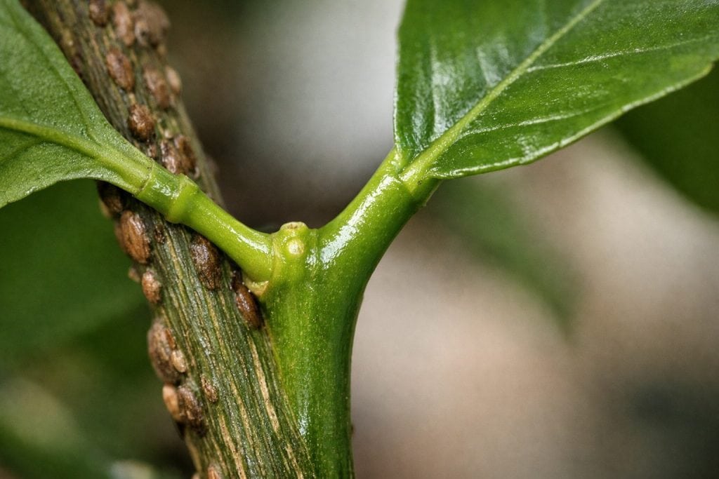
Vaš omiljeni limun odjednom je postao prekriven čudnim izbočinama, a listovi su postali ljepljivi i počeli otpadati. Ovo nije bolest, ali ljuskarac – jedan od najpodmuklijih štetnika sobnih biljaka. Ona doslovno isisava život iz stabla, skrivajući se iza izdržljive ljuske koja ne dopušta običnim otrovima da prođu. Isprobao sam desetke metoda i pronašao isti algoritam koji zajamčeno uništava insekte bez štete po usjev.

Odabir učinkovite strategije kontrole

Prije nego započnemo spašavanje, važno je razumjeti s čime imamo posla. Kukac je zaštićen voštanim premazom, tako da jednostavno prskanje vodom nije zastrašujuće za njega.

Metoda obrade Učinkovitost Poteškoća izvršenja
Redovito tuširanje Nizak (ispira samo prašinu) Lako
Otopina alkohola Visoko (otapa ljusku) Prosjek
Sapun za pranje rublja Srednji (stvara film) Lako
Sistemični insekticidi Maksimalno (djelovati iznutra) visoko

Plan uklanjanja štetočina korak po korak

Glavna tajna uspjeha je mehaničko čišćenje. Dok ne poletiš ljuska odrasla osoba, jaja ispod će biti sigurna.

  • Pamučnu podlogu obilno namočite votka ili slaba otopina alkohola.

  • Nježno trljajte svaku stabljiku i pazušce listova, uklanjajući smeđe naslage.

  • Pripremite gustu otopinu sapuna od katranski sapun.

  • Nanesite pjenu na cijelu biljku, uključujući i donju stranu listova.

  • Ostavite pjenu 30 minuta, zatim temeljito isperite biljku pod mlazom tople vode.

Tajna nijansa: nakon obrade svakako zamijenite gornji sloj supstrat u loncu. Ličinke insekata ljuskara (skitnice) često se skrivaju u tlu, čekajući da se ponovno popnu na deblo.


Mjere za konsolidaciju rezultata

Jedan postupak često nije dovoljan, jer mikroskopske ličinke mogu proći nezapaženo.

Alat Zašto koristiti Utančanost
Stara četkica za zube Čišćenje kore debla Odaberite mekane čekinje
Pamučni pupoljci Liječenje sinusa Nemojte dopustiti da alkohol teče u korijen
Prozirna folija Zaštita tla Čvrsto pokrijte tlo kada plivate
  • Tretman sapunom ponoviti nakon 7 dana.

  • Izolirajte zaraženi limun od ostalih sobnih biljaka na dva tjedna.

  • Obrišite prozorsku dasku i okvir prozora otopinom klorheksidin ili alkohol.

  • Redovito pregledavajte deblo, posebno u područjima grananja.

“Mark Weber, stručnjak za uzgoj biljaka i kućni vrt. Više od 12 godina profesionalno se bavi restauracijom egzotičnih kultura te je u praksi isprobao preko 70 metoda suzbijanja štetočina u zatvorenim prostorima.”

Najpouzdaniji način prevencije je održavanje visokog vlažnost zraka. Kukac ljuskar voli suho i toplo okruženje, pa će redovito prskanje čistom vodom i prozračivanje vaš limun učiniti neprivlačnim za insekte. Čisto lišće i zdrav imunitet biljke bit će najbolja zaštita od bilo kakvih bioloških prijetnji.

Često postavljana pitanja:

Mogu li koristiti obični toaletni sapun?

Bolje je koristiti kućanstvo ili katran, budući da sadrže veći sadržaj lužine, što je štetno za insekte.

Zašto su listovi limuna postali ljepljivi?

Ova medna rosa je otpadni produkt kukca štipavca, na kojem često raste gljiva čađava.

Hoće li infuzija češnjaka pomoći protiv insekata?

Češnjak može otjerati nove insekte, ali je nemoćan protiv odraslih kukaca ispod ljuske.

Trebam li odrezati zaraženo lišće?

Samo u slučaju potpunog žućenja ili masovnog nakupljanja štetnika koji se ne mogu ručno ukloniti.

Koliko brzo se kukac ljuskar širi na susjedne biljke?

Zalutale ličinke kreću se prilično aktivno, pa je od prvog dana otkrivanja potrebna karantena.

Je li sigurno koristiti alkohol za trljanje tankih listova?

Kako biste izbjegli opekline, prvo testirajte otopinu na jednom listu ili upotrijebite koncentraciju ne veću od 40 posto.

Pravilna njega i pravovremena dijagnoza omogućuju potpunu obnovu stabla čak i nakon ozbiljne infekcije.

Odgovori

Vaša adresa e-pošte neće biti objavljena. Obavezna polja su označena sa * (obavezno)

Related Post

Kako učiniti da ruže ponovno cvjetaju do mraza

Mnogi vrtlari griješe ostavljajući izblijedjele pupoljke na grmlju, nadajući se prirodnom procesu. Zapravo, ako ne intervenirate usred sezone, ruža će potrošiti sve svoje resurse na sazrijevanje sjemena (plodova), a vi nećete vidjeti nove cvjetove. Godinama sam isprobavao različite tehnike rezidbe u svom ružičnjaku i došao do zaključka da ljetna rezidba nije estetski hir, već “prekidač” […]

Pekinezer, mošusni ili mulard: prednosti i mane popularnih pasmina

Uzgoj peradi počinje pravim odabirom pasmine. Koje patke brže rastu i koje su pogodne za uzgoj. Veza je kopirana Koja je najbolja pasmina pataka? / Kolaž: glavni urednik, screenshotovi Što ćete naučiti o: Koje su pasmine pataka popularne za uzgoj u Ukrajini Koju pasminu pataka je najisplativije uzgajati za meso? Odabir pasmine patke za vlastitu […]